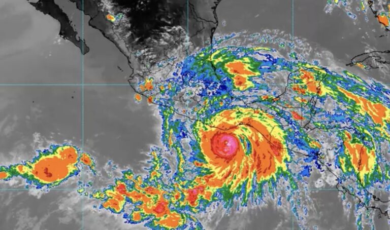
Erick sube a categoría 3 y podría pegar como 4
El pronóstico indica un posible impacto durante la madrugada del jueves, entre Puerto Escondido, Oaxaca, y Punta Maldonado, Guerrero: no se descarta que alcance la categoría 4.
Copia y pega esta URL en tu sitio WordPress para incrustarlo
Copia y pega este código en tu sitio para incrustarlo